.SP Index
xxxxxxxxxxxrailroading sans radios at San Jose Roundhouse/College Park Tower:
On the Rope[s]
|
|
Anticipated, or soon recognized, when Southern Pacific opened its 1935 Cahill Street Depot as part of the wider West Side Relocation project (see Trainline, Fall 2023) was the problem of how to keep light engine movements between there and the roundhouse from frogging suburban trains during highly trafficked morning and evening rush (aka "Fleet") hours. In prior times Cahill's location was occupied by the sleepy ex-South Pacific Coast West San Jose depot. Light engine movements to and fro along the roughly half mile of Santa Cruz Branch single track between there and the roundhouse were easily accomplished under yard limits rules
|
College Park Tower in late 1968, looking timetable eastward towards the rounhouse out of sight at right - Wx4 photo
|
With the relocation came an additional two main tracks and an extension of College Park Tower's interlocking limits to the edge of Cahill. A main objective of the new arrangement was to minimize delay of suburban rush hour trains that now frequented Cahill instead of the former downtown arcade station on the old main line. As things sorted out, the Westbound Main track between the depot and the roundhouse proved to be a choke point that ultimately required the introduction of "the rope".
The Westbound Main track out of the depot saw triple duty. In addition to westbound Peninsula and Oakland passenger trains, light engines and Milpitas line passenger trains (over the new San Jose Wye) also used its rails in both directions. This required the interlocking operator to employ a degree of nimble choreography to maintain proper fluidity in movements.
But there was a problem. While light engine moves in and out of the depot were handled by the Alameda herder in coordination with the towerman, hand throw access to the main at the roundhouse was now replaced by an interlocking switch well beyond the towerman's line of sight. A lineup determined when light engines departed the roundhouse, but should an engine experience some sort of delay and there was no expeditious way to communicate this to the towerman, the choreography could fall flat.
|
|
Enter "the rope", or more accurately, three ropes hanging from two power poles. Whether other solutions (such as a switch tender) came before, or whether it was a novel, or whether it a tried-and-true device somewhere else is unknown, but it was certainly one of simplistic beauty - Common Sense in the lack of Common Standards
Late Coast District Engineer Seller Nugent described the rope as hanging from the telegraph pole that stood "between the two tracks that you would leave on. The rope came down from each side of the cross arm so the fireman could pull it on one track and the engineer could pull it on the other. The rope went through a switch at the top and had a spring return. [The rope was] secured towards the bottom of the posts but didn't reach the ground. I think you would pull it once to go against the grain to the depot and twice if you wanted to come out and then go west down the main towards Santa Clara Tower."
|
Loco #3020 managed to keep it all on the rail as it moved between the ropes in Fall, 1969, unlike #3029 at lower left. Wx4 photo
|
|

Oopsie! In Fall, 1973, Train Master #3029 apparently picked #2 switch, causing it to derail both trucks in between the rope poles. For the record, The gentleman in the grey suit coat standing in front of the near pole is Roadmaster Elmer Stone, beloved by all when he retired in 1983. Wx4 photo
|
Rob Sinclair, who later became a San Jose Car Department foreman, saw the arrangement from the other end. "As teenagers, a friend and I spent a lot of time hanging out in College Park tower with operator Ernie S. He would tell us when a movement needed to be lined through the plant from X to X and we would line it up while calling out the switch and signal numbers we were pulling. Ernie would sit at the desk (probably reading a newspaper) and knew by listening if we were lining it up correctly.
There was a buzzer in the tower that would sound when the rope was pulled. Ernie would say "that's the power for such and such and he needs to go to depot 4" or something along that line, and we would line it up…I remember towermen using the term "he's on the rope" when the buzzer sounded."
This low tech solution apparently survived until the 1989 earthquake damaged the roundhouse beyond repair, probably because this steam age leftover was preferable to modern radio chatter.
|
|
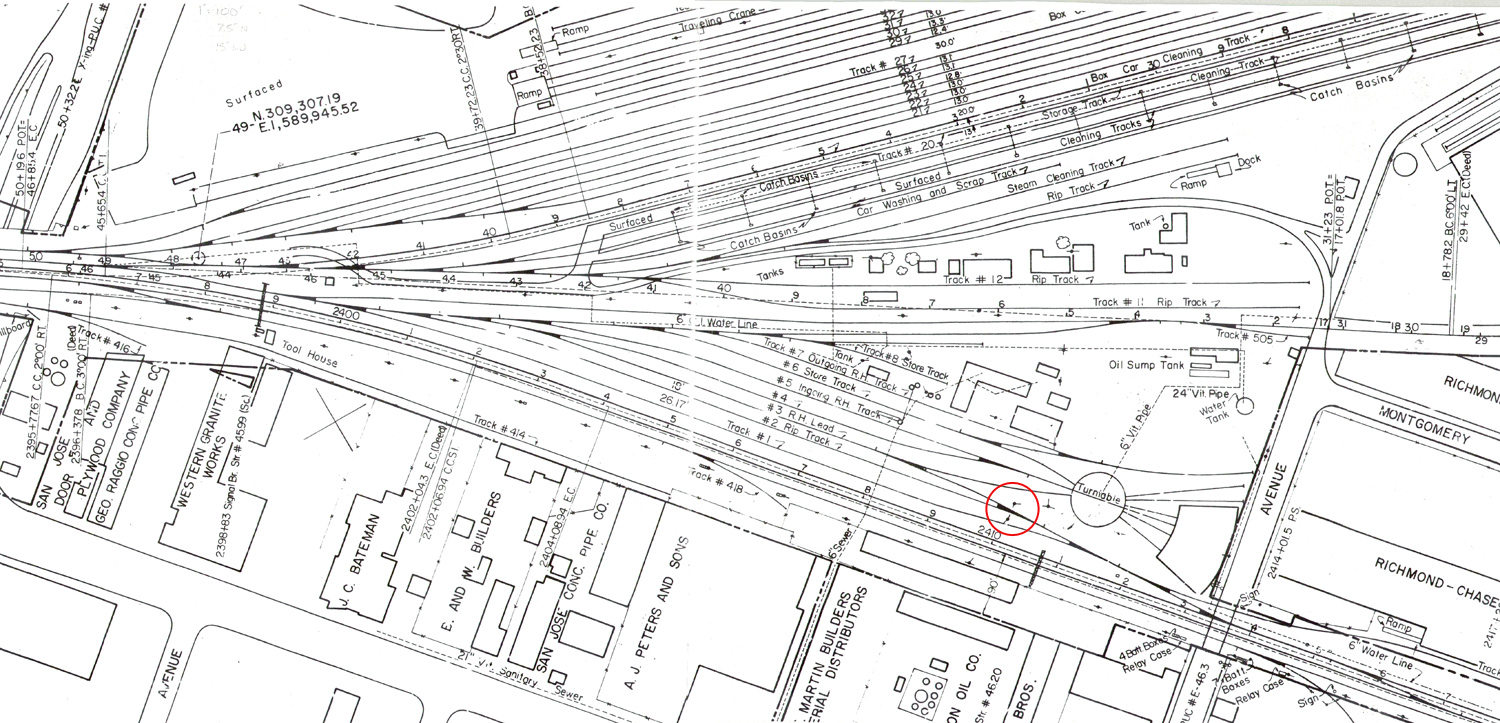
The location of the 'rope poles' shows inside the red circle on the SP circa 1960's drawing above. Note the switch controlled by College Park Tower sitting in the middle of Lenzen Avenue. Cahill depot is to the right, outside of the image. Prior to the 1935 line change, the area only held one main track, the Santa Cruz , or "Mountain" Main. Rob Sinclair Collection
|
J.R. Signore Collection
|
| The photo at right gives some idea of how busy things could get at the rope, even on this weekend morning, circa 1970. The Geep at left has just returned from the depot, maybe off of #114, and is heading along roundhouse #1 aftter passing through the spring switch. This track was strictly a running track. Geep #3007 sits framed by the poles on the roundhouse lead (which extended through #3 track), all ready to head for the depot once the crew climbs on. Seviced H24-66's already are colecting on #2 track, which served as a ready track, although the drawings refer to it as a RIP track. It appears as if #3007's engineer would have had an impossible leaan to yank the rope, but closer inspection shows that the loco was sitting well short of the pole. |
|
|
|